Image
koirakuvatfi_20110123_1mg_6428.jpg

Lonkkanivelen kasvuhäiriö

Lonkkanivelen kasvuhäiriö eli ”lonkkavika”, (engl. hip dysplasia, HD) on koirien yleisin luuston/nivelten kasvuhäiriö. Se voidaan määritellä perinnölliseksi lonkkanivelen löysyydeksi.

Mahdolliset muutokset lonkkanivelessä alkavat jo pennun ensimmäisten elinviikkojen aikana. Noin vuoden iässä lantio on luutunut ja lonkkanivelten kehitys on valmis. Lonkkanivelen kasvuhäiriö johtaa yleensä nivelrikkoon. Nivelrikon kehittymisen aikatauluun ja tyyppiin vaikuttavat rotukohtaiset ja yksilölliset erot.

Image
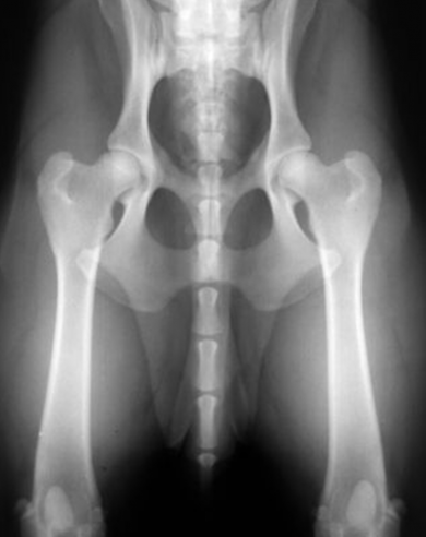
Koiran lonkat röntgenkuvassa

Lonkkanivelen kasvuhäiriön perimmäistä syytä ei tiedetä, mutta se periytyy tämänhetkisen tutkimustiedon perusteella usean eri geenin vaikutuksesta. Ympäristöllä on vaikutusta siihen, miten kasvuhäiriö ilmenee. Useissa tutkimuksissa on todettu runsaan ravinnonsaannin olevan yhteydessä lonkkavikaan. Ruokinta ei aiheuta dysplasiaa, mutta se tuo vian esiin koirilla, joilla on siihen perinnöllinen alttius. Tämä pätee myös toisin päin, oikeanlaisella ruokinnalla lonkkanivelen kasvuhäiriö ei tule näkyviin tai on lievempää. Myös liian raju liikunta kasvuaikana voi pahentaa muutoksia.

Lonkkanivelen kasvuhäiriötä tavataan lähes kaikilla roduilla, mutta yleisintä se on suurilla ja jättiroduilla. Oireet voidaan huomata pentuna 3-12 kuukauden iässä. Oireilu voi vähentyä selvästi tai loppua kokonaan jopa useiksi vuosiksi, kun nivelen ympärille muodostuva sidekudos vähentää nivelen löysyyttä. Toinen oireilevien koirien ryhmä on aikuiset koirat, joiden oireiden syynä on nivelrikko. Nuorilla koirilla oireina voivat olla takajalkojen ontuminen, ”pupuhyppely”, ylösnousuvaikeudet levon jälkeen, liikkumishaluttomuus ja naksahteleva ääni kävellessä. Oireet voivat alkaa äkillisesti ja omistaja voi liittää ne johonkin tapaturmaan. Vanhemmilla nivelrikkoisilla koirilla oireet voivat olla epämääräisiä. Oireilu laitetaan usein vanhenemisen piikkiin. Tyypillisiä oireita ovat takajalkojen ontuminen ja jäykkyys liikkeessä.

Lonkkanivelen kasvuhäiriön ja siitä johtuvan nivelrikon hoidossa on ruokinnalla keskeinen merkitys. Ylipaino pahentaa oireita ja pelkkä painon pudotus voi helpottaa koiran oloa. Tulehduskipulääkkeitä ja nivelnesteen ja nivelruston koostumusta parantavia aineita käytetään yleisesti. Sopiva liikunta pitää lihaksiston kunnossa ja nivelet liikkuvina. Kirurgisia hoitoja on myös olemassa.

Teksti: Anu Lappalainen, eläinlääkäri

Pääkuva: Jukka Pätynen, oikealla oleva kuva on röntgenkuva koiran terveistä lonkista